RNT Family History
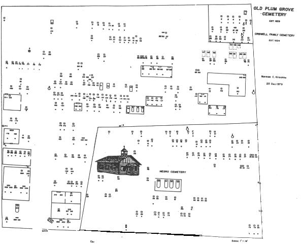
Old Plum Grove Cemetery, West Point, Fayette, Texas, United States of America

Notes:
Old Plum Grove Cemetery is located in
Fayette County, east of West Point, Texas.
West Point is a small community about l0 miles
west of La Grange on Hwy. 7l (going toward
Austin). Old Plum Grove is a miles or so east
of West Point and the Woods Prairie
(sometimes called Woods Fort Cemetery) is
about 2-3 miles west of West Point.
Old Plum Grove is historic because it is the
location of the first Baptist Church
chartered west of the Colorado.That first church
was called Hopewell Baptist Church.
Plum Grove Baptist Church was established
in 1839 on land owned by John Criswell Sr.
| Thumb | Description | Status | Location | Name (Died/Buried) |
|---|---|---|---|---|
| Darby, Sarah Alice 155 & 156 DUNN R.E. (Dick) Sallie Feb 18 1859 Mar 10 1866 Mar 11 1934 Jun 6 1914 |
Located | |||
| Darby, Willis Pickens 157. Willis P. Darby Aug 12, 1821 Jun 6 1895 |
Located | |||
| Dunn, Richard E. 155 & 156 DUNN R.E. (Dick) Sallie Feb 18 1859 Mar 10 1866 Mar 11 1934 Jun 6 1914 |
Located | |||
| Faires, Ada A. 145. Ada A. Faires Born: Feb 25 1851 Died: Jan 1 1869 |
Located | |||
| Faires, William Alexander 147. W.A. FARIES Born: Dec 5 1806 Died: Mar 22 1885 |
Located | |||
| Gregory, Madison F. 159. Madison F. Gregory Born: Feb 29 1866 Died: Oct 6 1890 |
Located | |||
| Gregory, Robert A. 160. Robert A. Gregory Born Feb 2 1853 Died: Dec 9 1888 |
Located | |||
| Karnes, George Washington 22. Geo. W. Karnes Feb 3 1832 Dec 30 1913 |
Located | |||
| Karnes, George Washington 20. G.W. Karnes Jr. July 24 1862 Nov 8 1925 |
Located | |||
| Karnes, Lula 217 & 218 SIMPSON Joshua G. Lula K. Mar 13 1855 Sep 4 1859 Dec 9 1938 May 25 1939 |
Located | |||
| Karnes, Mattie 23. Mattie Karnes Born Feb 28 1857 Died: Oct 15, 1869 |
Located | |||
| Karnes, Thomas C. 214. Erected to the Memory of Sov. Dr. T.C. Karnes Of Guadalupe Camp No 90, Gonzales, Tex Born January 28, 1858 Died: August 19, 1898 |
Located | |||
| Karnes, William Perry 212 & 213. FATHER MOTHER William P. Elizabeth S. Jan 16 1829 Mar 28 1844 Apr 13 1905 Jul 8 1931 |
Located | |||
| Karnes, William S. 148. W.S. Karnes Born: Feb 11 1855 Died: Jan 11 1891 Aged 25 yrs 11 Mos |
Located | |||
| Kirk, Frances Emiline 119. In Memory of Francis Emeline (Karnes) Mother of Wm. Thos. and Laura Karnes Born: Nov 1 1834 Died: May 10 1861 Aged 27 yrs, 6 mos 10 dys |
Located | |||
| McClure, Ada 146. Ada Faires Born: Feb 1 1810 Died: May 19 1874 |
Located | |||
| McClure, Alice 162, In Memory of Alice consort of William Scallorn Died May 17 1881 Aged 86 yrs 2mos 5 dys Alice Scallorn nee McClure |
Located | |||
| McClure, Elizabeth 34. Elizabeth Karns Mar 1, 1802 Feb 3 1868 |
Located | |||
| Moore, Matilda 21. Matilda Karnes May 22 1836 Oct 8 1915 |
Located | |||
| O'Daniel, James 65. James O'Daniel Born: May 2, 1813 Died: Dec 9 1885 We cannot tell who next will be, Beneath thy chasting rod. One must be first, but let us all Prepare to meet our God |
Located | |||
|
Scallorn, 166. Infant son of Dr. William M & Mary Sorrelle Scallorn Born: Nov 14 1867 Died: Nov 16 1867 |
Located | ||
|
Scallorn, Albert Owen 68. Albert Owen Scallorn Born: Dec 30 1838 Died Aug 11 1839 On of William and Alice Scallorn 8th grave in cemetery |
Located | ||
|
Scallorn, Amanda 67. Amanda Scallorn Born: nov 25 1827 Died: Jan 17, 1845 10th grave in cemetery daughter of William and Alice Scallorn. |
Located | ||
| Scallorn, Barbara Ann Gorden 164. Barbara Ann Gorden daughter of Dr. William M. and Mary Sorrelle Scallorn Born: Dec 11 1862 Died: Sep 29 1863 |
Located | |||
| Scallorn, Elizabeth 66. Elizabeth O'Daniel Born April 7, 1821 Died: March 12 1854 Elizabeth was the daughter of William and Alice (McClure) Scallorn |
Located | |||
| Scallorn, Elizabeth 212 & 213. FATHER MOTHER William P. Elizabeth S. Jan 16 1829 Mar 28 1844 Apr 13 1905 Jul 8 1931 |
Located | |||
| Scallorn, Mary Ann 158. Mary A. Beloved wife of W.P. Darby Mar 26 1826 May 17 1894 W.P. Darby married May Ann Scallorn daughter of William and Alice Scallorn |
Located | |||
| Scallorn, Sarah |
Not yet located | |||
|
Scallorn, William Madison 161. William Scallorn Born: Dec 18 1796 Died Jan 1 1888 Servant of God, well done Best from thy loved employ The battle fought, the victory won Enter thy masters joy. Soldier of Christ; well done Praised be thy new employ and while eternal ages run Best in thy Savior's joy. |
Located | ||
|
Scallorn, William Madison 163. Dr. William M. Scallorn Born Dec 24, 1829 Died: Jun 5 1880 Lived as a Christian As a Christian died. William Scallorn married Mary K. SoRelle 17 Feb 1858 daughter of T.B. SoRelle. He was a surgeon. |
Located | ||
|
Scallorn, William Thomas 165. William Thomas son of Dr. William M. & Mary Sorrelle Scallorn Born: Jul 24 1864 Died Sep 29 1866 |
Located | ||
| Simpson, Bryan 216. Bryan Simpson Texas Pvt 1c1, Med Dept. 27 Oct 1897 23 Dec 1932 |
Located | |||
| Simpson, Elizabeth 222. & 223 Ernest R, Elizabeth S. Feb 3 1883 Oct 3 1885 Dec 1 1966 May 29 1967 |
Located | |||
| Simpson, Joshua Guess 217 & 218 SIMPSON Joshua G. Lula K. Mar 13 1855 Sep 4 1859 Dec 9 1938 May 25 1939 |
Located | |||
| Young, Ernest Robert 222. & 223 Ernest R, Elizabeth S. Feb 3 1883 Oct 3 1885 Dec 1 1966 May 29 1967 |
Located |






